Interior
Área desapropriada para assentamento em Murici corre risco de virar condomínio
Depois de mais de duas décadas de resistência, despejos, ameaças e destruição de lavouras, as famílias camponesas do acampamento Bota Velha, no município de Murici, Zona da Mata de Alagoas, voltam a viver sob ameaça. Desta vez, não pela força direta da reintegração de posse, mas por meio de manobras administrativas, cartoriais e legislativas que colocam em risco parte da área desapropriada pelo próprio Governo do Estado para fins de reforma agrária.
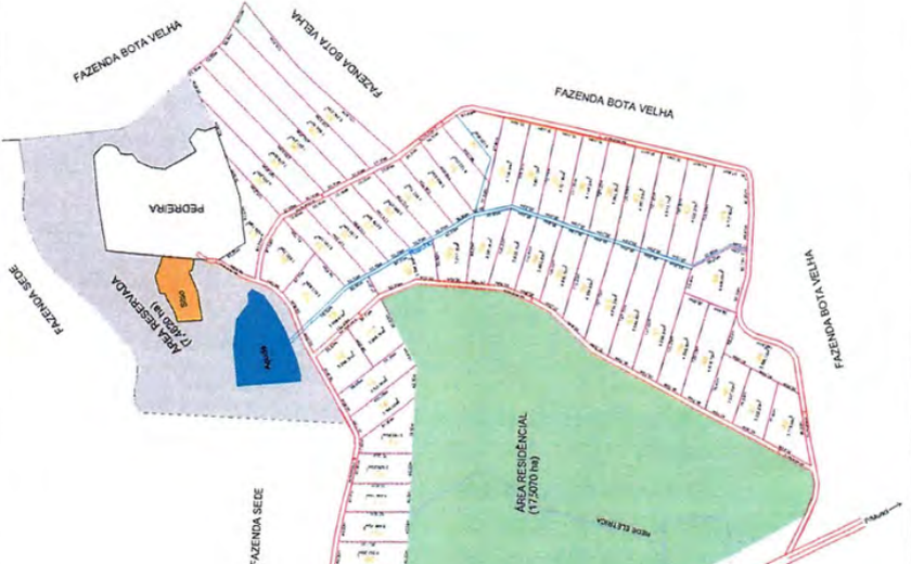
A denúncia é grave: cerca de 50 hectares da Fazenda Bota Velha, que integra um imóvel de 513 hectares adquiridos integralmente pelo Estado de Alagoas em março de 2022, estariam sendo retirados, na prática, do projeto de assentamento para dar lugar a um condomínio fechado e chácaras, beneficiando empresários locais. Para a Comissão Pastoral da Terra (CPT), o caso reúne indícios de grilagem.
Uma conquista histórica agora ameaçada

A área de Bota Velha carrega uma história marcada por conflitos no campo desde 1999. Camponeses e camponesas dos acampamentos Bota Velha e Santa Cruz resistiram por anos à violência de antigas usinas falidas, enfrentando sucessivos mandados de reintegração de posse, perseguições e tentativas de expulsão. O último grande embate ocorreu em 2019, quando a execução de um despejo foi suspensa após pressão social.
Naquele momento, o então governador Renan Filho (MDB) assumiu publicamente o compromisso de adquirir a área, diante da omissão do governo federal. O compromisso se materializou em 31 de março de 2022, quando o Estado de Alagoas publicou o Decreto nº 82.176, declarando de utilidade pública, para fins de desapropriação, a Fazenda Bota Velha, com área total de 513,264 hectares, destinada à implantação de um projeto de geração de renda e fixação do trabalhador e da trabalhadora rural no campo.
“O decreto é claro: toda a área é para assentamento. O Estado pagou o valor dos 550 hectares registrados em cartório. A terra é das famílias camponesas”, afirma Jailson Tenório, coordenador da CPT em Alagoas.
Hoje, aproximadamente cem famílias vivem e produzem na área. Onde antes havia abandono e monocultura falida, floresceu uma experiência concreta de reforma agrária popular: produção diversificada de alimentos saudáveis, feiras livres, uma casa de farinha que chega a produzir meia tonelada por semana, além de moradias, escola, capela, energia elétrica e açude.
Certidões suspeitas e apagamento de registros
Apesar da clareza do decreto, documentos emitidos posteriormente pelo Cartório do 1º Ofício de Registro de Imóveis de Murici passaram a sustentar a tese de que 48 a 50 hectares não fariam parte da Fazenda Bota Velha, mas sim de uma área denominada Fazenda São Simeão, que teria sido adquirida pela empresa BET Construtora SPE LTDA. A Certidão de Inteiro Teor, emitida apenas em 4 de setembro de 2025, indica alterações e cancelamentos de matrícula ocorridos após a desapropriação decretada pelo Governo do Estado de Alagoas.

Para a CPT, trata-se de um movimento articulado e cronologicamente suspeito: enquanto o decreto estadual é de março de 2022, as reconfigurações cartoriais e certidões utilizadas para justificar a exclusão da área surgem meses e até anos depois.
“Em 2022, quando o Iteral pediu as certidões, o cartório dizia que não existia nada. Agora, os livros ‘aparecem’. Isso é grave”, denuncia Jailson Tenório.
Outro elemento alarmante é que os antigos proprietários receberam o valor total da desapropriação, incluindo a área que agora se tenta excluir do assentamento. Ou seja, o Estado pagou por uma terra que, na prática, está sendo entregue a terceiros.
Projeto de lei abre caminho para condomínio privado
O conflito se agrava com o envio, pela Prefeitura de Murici, de um Projeto de Lei nº 020/2025, de autoria do prefeito Remi Vasconcelos Calheiros Filho (MDB), que propõe incluir a área em disputa no perímetro de expansão urbana do município. O texto prevê explicitamente o uso da terra para loteamento residencial, chácaras e áreas de lazer, atendendo aos interesses da BET Construtora SPE LTDA.
A empresa privada que teria comprado o imóvel rural denominado Fazenda São Simeão em 22 de março de 2024, ou seja, dois anos após a desapropriação da Fazenda Bota Velha, conforme Certidão de Inteiro Teor emitida pelo cartório no dia 24 de novembro de 2025. No mesmo documento, consta que “em virtude das enchentes ocorridas em 2010 onde todo acervo do cartório foi destruído e o referido imóvel teve a matrícula restaurada ganhando uma nova numeração”. No entanto, quando o Governo de Alagoas publicou o decreto, em 2022, mais de uma década após as enchentes, não havia tal informação.
De acordo com os documentos anexados ao Projeto de Lei N° 20/2025, disponíveis no site da Câmara Municipal, em 07 de março de 2024, a Fazenda São Simeão estava certificada no Ministério da Agricultura, Pecuária e Abastecimento (MDA) em nome da proprietária Aline Ester Lopes Ferraz e outros, mas sem confirmação de certificação de registro em cartório. Já em 12 de novembro de 2024, a Fazenda São Simeão já estava registrada no MDA em nome da construtora.
A proposta está pautada para votação em sessão extraordinária da Câmara Municipal no dia 23 de dezembro de 2025, em pleno recesso político e sem qualquer diálogo com as famílias camponesas diretamente afetadas.
“Transformar terra desapropriada para assentamento em área urbana para condomínio é desviar a finalidade do decreto e rasgar o direito das famílias”, afirma a coordenação da CPT.
Exigência de esclarecimentos e respeito ao decreto
Para a Comissão Pastoral da Terra, o caso de Bota Velha não é apenas um conflito fundiário local, mas um retrato da fragilidade da política de reforma agrária frente aos interesses do capital imobiliário. A organização cobra esclarecimentos imediatos do Governo de Alagoas e da Prefeitura de Murici, ambos comandados pelo MDB, o mesmo grupo político responsável pela promessa, pelo decreto de desapropriação e, agora, pelo projeto de lei.
“A pergunta é simples: se o governo desapropriou, pagou e decretou a área inteira para assentamento, como pode agora permitir que uma parte seja desviada para empresários?”, questiona Jailson Tenório.
A CPT exige que 100% da Fazenda Bota Velha seja destinada às famílias camponesas, conforme prometido, decretado e pago com recursos públicos. Qualquer tentativa de fatiamento da área representa não apenas uma injustiça histórica, mas um precedente perigoso de legalização da grilagem sobre terras da reforma agrária.
Mais lidas
-
1Maceió
MPF recomenda paralisação de obras em empreendimento em Garça Torta, Maceió (AL)
-
2Não é fake
De maconha a milagres! Snoop Dogg larga o rap profano, vira cristão e lança álbum gospel
-
3TRILHA
Trilha inspirada no Caminho de Santiago de Compostela será implantada em Alagoas
-
4'The Rip'
'Dinheiro Suspeito' reúne Matt Damon e Ben Affleck em novo thriller policial da Netflix
-
5K-dramas
Doramas: Confira a lista de estreias que chegam no Rakuten Viki em janeiro de 2026



